LT 66 RIVERSIDE ON LK NOTT
When searching for the perfect spot to build your new home, there are many factors to consider: loca
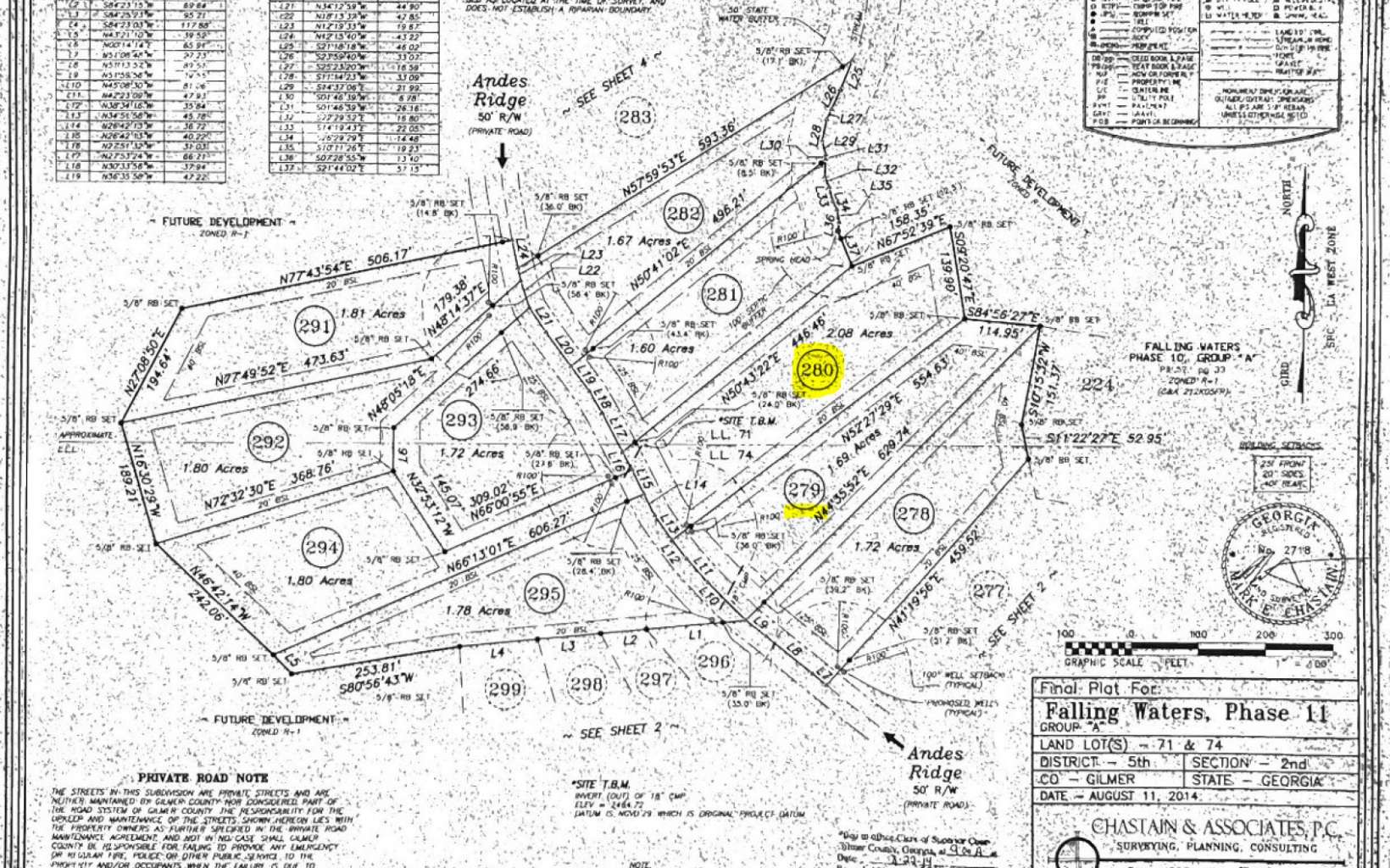
LT774 OMEN CIRCLE
Great lot located just off paved road and very close to Recreation Center! All Coosawattee amenities
OLD CAMP LOOP
1.77 Acres backing up to N.F.S and a deeded boat slip within the small community dock of Padena Sett
SAHKANAGA DRIVE
This is a POINT LOT...that means it sits flat at the point of a ridge. The View is FABULOUS! A must
6655 2A MILLWOOD ROAD
This 6.095-acre tract of land is situated in a picturesque location on Four Mile Creek, which emptie
LT 10 HINTON OVERLOOK
Beautiful mountain views from this 2.014-acre lot in Hinton Overlook. Located at the end of a cul-de
LT 15 HINTON OVERLOOK
Beautiful mountain and river views from this 2.287-acre lot in Hinton Overlook. Excellent home site
9 OUTBACK RIDGE TRL
Discover the perfect canvas for your dream home on this picturesque 3-acre tract of land. Nestled wi
TR 2 TURNIPTOWN RD
RARE TO FIND PROPERTY FOR SELL IN THIS BEAUTIFUL AREA!!!! This beautiful property in Gilmer County w
LT 13 WALDORF PLACE
Level Lot in Beautiful Wenland Estates Subdivision in Brasstown, NC. This lot includes a bridge over
153 RIVER SOUND DRIVE
Great river view tract overlook lookng hiawassee river! Please call your agent to get into riverwalk
0 PINE DRIVE, #1
.38 Acre lot in Rolling Hills Subdivision. This lot in an established subdivision offering public wa
